back to homeBack
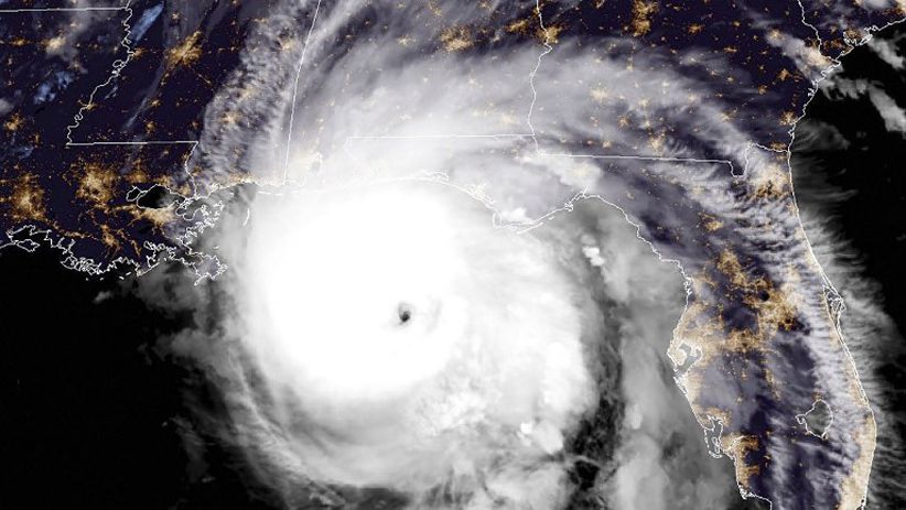
Penampakan dari Luar Angkasa Badai Michael Terjang AS - Bagian 1
1/4
(AFP)
Penampakan dari Luar Angkasa Badai Michael Terjang AS - Bagian 2
2/4
(AFP)
Penampakan dari Luar Angkasa Badai Michael Terjang AS - Bagian 3
3/4
(AFP)
Penampakan dari Luar Angkasa Badai Michael Terjang AS - Bagian 4
4/4
(AFP)
  • Penampakan dari Luar Angkasa Badai Michael Terjang AS - Bagian 1
  • Penampakan dari Luar Angkasa Badai Michael Terjang AS - Bagian 2
  • Penampakan dari Luar Angkasa Badai Michael Terjang AS - Bagian 3
  • Penampakan dari Luar Angkasa Badai Michael Terjang AS - Bagian 4
iNews.id