Get iNews App with new looks!
inews
Advertisement
Aa Text
Share:
Read Next : 1 Perempuan Dibunuh oleh Orang Dekat Tiap 10 Menit, PBB: Rumah Bukan Tempat Aman bagi Kaum Hawa
Advertisement . Scroll to see content

Brutal, Perempuan Ini Tembaki 2 Anjingnya Ratusan Kali Pakai Senapan Angin

Senin, 16 Mei 2022 - 15:42:00 WIB
Brutal, Perempuan Ini Tembaki 2 Anjingnya Ratusan Kali Pakai Senapan Angin
Perempuan di Florida ditangkap petugas setelah berulang kali menembak anjingnya dengan senapan angin. (Foto: HERNANDO COUNTY SHERIFF'S OFFICE)
Advertisement . Scroll to see content

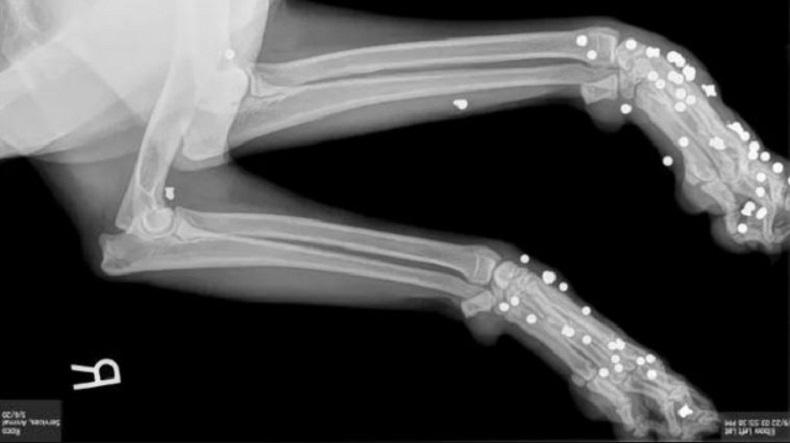
TALLAHASSEE, iNews.id - Seorang perempuan di Florida ditangkap petugas setelah berulang kali menembak anjingnya dengan senapan angin. Ditemukan sekitar 170 peluru tertanam di bagian kaki kedua anjingnya. 

Jamie Lynn Kujawa (37) ditahan awal pekan ini oleh polisi setelah dia menyerahkan dua anjing secara sukarela. Hasil dari x-ray mengungkapkan, lebih dari 170 peluru tertanam di tubuh kedua anjing. 

Kantor Sheriff Wilayah Hernando (HCSO) menerima laporan dari tetangga pelaku bulan lalu. Isinya, mereka mendengar senjata BB (pistol udara) ditembakkan dan diikuti oleh tangisan anjing.

Petugas kontrol hewan pun mengunjungi Kujawa pada 19 April. Tapi Kujawa berkilah tidak memiliki senjata BB. 

Kepada petugas, dia juga mengatakan, luka yang terlihat di kaki dan cakar ketiga anjingnya adalah hasil dari perkelahian.

Kujawa juga tidak dapat menunjukkan sertifikat vaksinasi terbaru untuk ketiga anjingnya. Dia diberi waktu 10 hari untuk memvaksinasi anjing-anjing tersebut dan memberikan bukti perawatan medis untuk luka-luka mereka.

Dalam kunjungan tindak lanjut keesokan harinya, seorang deputi memperhatikan ketiga anjing Kujawa tampak terluka. Dua dari hewan itu tampaknya memiliki luka baru di kaki mereka.

Follow WhatsApp Channel iNews untuk update berita terbaru setiap hari! Follow

Related News

iNews.id
iNews Network
Kami membuka kesempatan bagi Anda yang ingin menjadi pebisnis media melalui program iNews.id Network. Klik lebih lanjut