Get iNews App with new looks!
Mode Gelap
Advertisement
Aa Text
Share:
Read Next : Ade Darmawan Sebut Rismon Sianipar Kembali ke Jalan yang Benar, Ini Penjelasannya
Advertisement . Scroll to see content

Ilmuwan Kaget usai Temukan 4 Gunung Rakasasa Bersembunyi di Bawah Laut!

Senin, 12 Februari 2024 - 18:34:00 WIB
Ilmuwan Kaget usai Temukan 4 Gunung Rakasasa Bersembunyi di Bawah Laut!
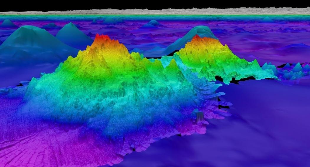
Gunung bawah laut terbesar dari empat gunung bawah laut yang baru-baru ini ditemukan para ahli Schmidt Ocean Institute memiliki tinggi 2.681 meter, luasnya 450 km persegi, dan berada 1.150 meter di bawah permukaan. (Foto: Schmidt Ocean Institute)
Advertisement . Scroll to see content

JAKARTA, iNews.id – Sebuah tim ilmuwan yang berada di kapal eksplorasi di lepas pantai Amerika Selatan telah membuat penemuan mengejutkan. Mereka mendapati empat gunung besar bawah laut yang sebelumnya tidak diketahui, tingginya berkisar antara 1.585 hingga 2.682 meter.

Laman Futurism pada pekan lalu melansir, penemuan tersebut menyoroti betapa sedikitnya pengetahuan kita tentang lautan yang menutupi sebagian besar planet kita. Menurut perkiraan terkini, lebih dari 80 persen lautan belum pernah terpetakan oleh manusia, apalagi dieksplorasi.

“Gunung tertinggi (yang kami temukan) memiliki tinggi lebih dari satu setengah mil, dan kami tidak benar-benar mengetahui bahwa gunung tersebut ada di sana,” kata peneliti dari Schmidt Ocean Institute, Jyotika Virmani, kepada New Scientist.

Virmani dan timnya telah mempelajari “gunung-gunung bawah laut” dari atas kapal Falkor – kepada Ilmuwan Baru.

Anomali gravitasi

Dengan menggunakan peralatan sonar, Virmani dan tim menyelidiki anomali gravitasi saat berlayar dari Kosta Rika ke Cile. Anomali tersebut biasanya disebabkan oleh massa yang sulit dilihat – yang dalam hal ini berupa seluruh gunung yang menonjol dari dasar laut.

“Saya berpikir satu, mungkin dua, tapi menemukan empat (gunung bawah laut) adalah hal yang luar biasa,” kata Virmani. 

“Ini menunjukkan betapa kita tidak mengetahui apa yang ada di luar sana,” ucapnya dengan takjub.

Follow WhatsApp Channel iNews untuk update berita terbaru setiap hari! Follow

Related News

 
iNews Network
Kami membuka kesempatan bagi Anda yang ingin menjadi pebisnis media melalui program iNews.id Network. Klik lebih lanjut